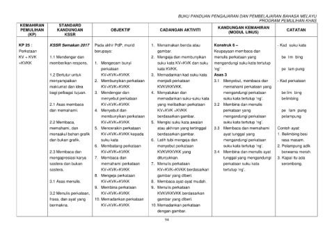
Page 101 - DSKP PEMULIHAN KHAS BM
P. 101
BUKU PANDUAN PENGAJARAN DAN PEMBELAJARAN BAHASA MELAYU
PROGRAM PEMULIHAN KHAS
KEMAHIRAN STANDARD KANDUNGAN KEMAHIRAN
PEMULIHAN KANDUNGAN OBJEKTIF CADANGAN AKTIVITI (MODUL LINUS) CATATAN
(KP) KSSR
KP 25 : KSSR Semakan 2017 Pada akhir PdP, murid 1. Menamakan benda atau Konstruk 6 – - Kad suku kata
Perkataan berupaya: gambar. Keupayaan membaca dan
KV + KVK 1.1 Mendengar dan 2. Mengeja dan membunyikan menulis perkataan yang be lim bing
+KVKK memberikan respons. 1. Mengecam bunyi suku kata KV+KVK dan suku mengandungi suku kata tertutup
perkataan kata KVKK. ’ng’ pe lam pung
1.2 Bertutur untuk KV+KVK+KVKK 3. Memadankan kad suku kata Asas 3
menyampaikan 2. Membunyikan perkataan menjadi perkataan 3.1 Menyebut, membaca dan - Kad perkataan
maklumat dan idea KV+KVK+KVKK KVKVKKVKK. memahami perkataan yang
bagi pelbagai tujuan. 3. Mendengar dan 4. Menyatukan dan mengandungi perkataan be lim bing
menyebut perkataan memadankan suku-suku kata suku kata tertutup ‘ng’. belimbing
2.1 Asas membaca KV+KVK+KVKK yang melibatkan perkataan 3.2 Membina dan menulis
dan memahami. 4. Menyebut dan KV+KVK +KVKK perkataan yang pe lam pung
membunyikan perkataan berdasarkan gambar. mengandungi perkataan pelampung
2.2 Membaca, KV+KVK+KVKK 5. Mengisi suku kata awalan suku kata tertutup ‘ng’.
memahami, dan 5. Mencerakin perkataan atau akhiran yang tertinggal 3.3 Membaca dan memahami Contoh ayat:
menaakul bahan grafik KV+KVK+KVKK kepada berdasarkan gambar. ayat tunggal yang 1. Belimbing besi
dan bukan grafik. suku kata 6. Latih tubi mengeja dan mengandungi perkataan rasa masam.
6. Membatang perkataan menyebut perkataan suku kata tertutup ‘ng’. 2. Pelampung adik
2.3 Membaca dan KV+KVK+KVKK KVKVKKVKK yang 3.4 Membina dan menulis ayat berwarna merah.
mengapresiasi karya 7. Membaca dan ditunjukkan. tunggal yang mengandungi 3. Kapal itu ada
sastera dan bukan memahami perkataan 7. Menulis perkataan perkataan suku kata serombong.
sastera. KV+KVK+KVKK KV+KVK+KVKK berdasarkan tertutup ‘ng’.
8. Mengeja perkataan gambar yang diberi.
3.1 Asas menulis. KV+KVK+KVKK 8. Membaca ayat-ayat mudah.
9. Membina perkataan 9. Menulis perkataan
3.2 Menulis perkataan, KV+KVK+KVKK KVKVKKVKK berdasarkan
frasa, dan ayat yang 10. Memadankan perkataan gambar yang diberi.
bermakna. KV+KVK+KVKK 10. Memadankan perkataan
dengan gambar.
94

