Page 110 - DSKP PEMULIHAN KHAS BM
P. 110
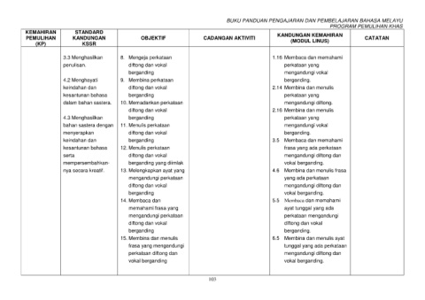
BUKU PANDUAN PENGAJARAN DAN PEMBELAJARAN BAHASA MELAYU
PROGRAM PEMULIHAN KHAS
KEMAHIRAN STANDARD KANDUNGAN KEMAHIRAN
PEMULIHAN KANDUNGAN OBJEKTIF CADANGAN AKTIVITI (MODUL LINUS) CATATAN
(KP) KSSR
3.3 Menghasilkan 8. Mengeja perkataan 1.16 Membaca dan memahami
penulisan. diftong dan vokal perkataan yang
berganding mengandungi vokal
4.2 Menghayati 9. Membina perkataan berganding.
keindahan dan diftong dan vokal 2.14 Membina dan menulis
kesantunan bahasa berganding perkataan yang
dalam bahan sastera. 10. Memadankan perkataan mengandungi diftong.
diftong dan vokal 2.16 Membina dan menulis
4.3 Menghasilkan berganding perkataan yang
bahan sastera dengan 11. Menulis perkataan mengandungi vokal
menyerapkan diftong dan vokal berganding.
keindahan dan berganding 3.5 Membaca dan memahami
kesantunan bahasa 12. Menulis perkataan frasa yang ada perkataan
serta diftong dan vokal mengandungi diftong dan
mempersembahkan- berganding yang diimlak vokal berganding.
nya secara kreatif. 13. Melengkapkan ayat yang 4.6 Membina dan menulis frasa
mengandungi perkataan yang ada perkataan
diftong dan vokal mengandungi diftong dan
berganding vokal berganding.
14. Membaca dan 5.5 Membaca dan memahami
memahami frasa yang ayat tunggal yang ada
mengandungi perkataan perkataan mengandungi
diftong dan vokal diftong dan vokal
berganding berganding.
15. Membina dan menulis 6.5 Membina dan menulis ayat
frasa yang mengandungi tunggal yang ada perkataan
perkataan diftong dan mengandungi diftong dan
vokal berganding vokal berganding.
103

