Page 89 - DSKP PEMULIHAN KHAS BM
P. 89
BUKU PANDUAN PENGAJARAN DAN PEMBELAJARAN BAHASA MELAYU
PROGRAM PEMULIHAN KHAS
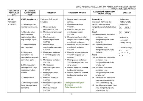
KEMAHIRAN STANDARD KANDUNGAN KEMAHIRAN
PEMULIHAN KANDUNGAN OBJEKTIF CADANGAN AKTIVITI (MODUL LINUS) CATATAN
(KP) KSSR
KP 19 : KSSR Semakan 2017 Pada akhir PdP, murid 1. Bersoal jawab mengenai Konstruk 6 – - Kad gambar
Perkataan berupaya: gambar. Keupayaan membaca dan - Kad suku kata
V + KVKK 1.1 Mendengar dan 2. Menyebut suku kata menulis perkataan yang - Kad abjad
memberikan respons. 1. Mengecam bunyi V+KVKK. mengandungi suku kata tertutup u dang
perkataan V+KVKK 3. Latih tubi mengeja dan ‘ng’.
1.2 Bertutur untuk 2. Membunyikan perkataan membaca perkataan Asas 1 o rang
menyampaikan V+KVKK V+KVKK. 4.12 Membaca dan memahami
maklumat dan idea 3. Mendengar dan 4. Memadankan huruf vokal perkataan yang - Kad / carta
bagi pelbagai tujuan. menyebut perkataan dengan suku kata KVKK bagi mengandungi suku kata perkataan
V+KVKK membentuk perkataan. V+KVKK. abang usung
2.1 Asas membaca 4. Menyebut dan 5. Menyusun huruf-huruf untuk 5.12 Membina dan menulis
dan memahami. membunyikan perkataan membentuk perkataan perkataan yang - Lembaran kerja
V+KVKK V+KVKK. mengandungi suku kata o r _ _ g
2.2 Membaca, 5. Mencerakin perkataan 6. Menyalin semula perkataan V+KVKK. _ d a n _
memahami, dan V+KVKK kepada suku V+KVKK daripada kad Asas 2 u s _ _ _ _
menaakul bahan grafik kata imbasan. 1.13 Membaca dan memahami
dan bukan grafik. 6. Membatang perkataan 7. Melengkapkan perkataan perkataan yang
V+KVKK V+KVKK dengan suku kata mengandungi suku kata
2.3 Membaca dan 7. Membaca dan yang sesuai. tertutup ‘ng’.
mengapresiasi karya memahami perkataan 8. Menulis perkataan V+KVKK 2.13 Membina dan menulis
sastera dan bukan V+KVKK berdasarkan gambar. perkataan yang
sastera. 8. Mengeja perkataan 9. Menulis perkataan V+KVKK mengandungi suku kata
V+KVKK berdasarkan gambar yang tertutup ‘ng’.
3.1 Asas menulis. 9. Membina perkataan diberi. 3.4 Membaca dan memahami
V+KVKK frasa yang mengandungi
3.2 Menulis perkataan, 10. Memadankan perkataan Cadangan Pembelajaran suku kata tertutup ‘ng’.
frasa, dan ayat yang V+KVKK Bermakna 4.5 Membina dan menulis frasa
bermakna. 11. Menulis perkataan Rujuk Lampiran 6 (C) yang mengandungi suku
V+KVKK kata tertutup ‘ng’.
82

